Under the Sea
If you know Eddie and I then you know we love to scuba and snorkel. I’d say that one of my favorite places on earth is to be under the sea. Now you can cue the Little Mermaid song Under the Sea or the Beatles song Octupus’s Garden. Both songs played through my head each time we snorkeled. Under the sea. Darling it's better. Down where it's wetter. Take it from me.
We snorkeled a couple times off Fort Jefferson in the old coal docks. The piling had nice coral and fish but unfortunately the water was very stirred up and visibility was dreadful. Still nice to get in the water.
Snorkeling around the fort.
Our next snorkel was a trip to Loggerhead Key. We went with Keith and Deb, both in our own dinghy as neither boat can get on plane with 4 people and gear aboard and it was a 3 mile cruise. It turned out to be a wild ride! I was at the helm and we were in 2’ seas in an 11 foot boat, traveling at 15 knots. There was a time where I would have been afraid to be at the helm in those waters. Not. Any. More. I just love driving Zoom. She is a sturdy and capable dinghy.
We tied to a mooring ball on the west side of the key, got suited up and dropped overboard to snorkel Little Africa Reef. It got its name because the reef looks like a map of Africa from above.
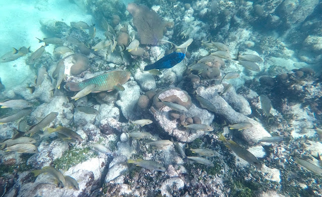
There were lots of fish, beautiful soft and hard coral, sea fans, anemone and always barracuda around. Eddie snorkeled in his dive skin and full wet suit. I wore a shorty wet suit. Sadly my guy had to shave his beard off so his mask would seal. It was fun while it lasted and it is great to see his face again! Eddie has been getting leg cramps while snorkeling or diving and towards the end of this trip sure enough his leg cramped and he had to take his fin off. Fortunately we were within walking distance of the beach and our plan had been to walk back on the beach to our dinghy.
Approaching the mooring ball.
Headed back to our boats after the snorkel
Relaxing in the sun after our picnic lunch. Time to head back to our big boats and take naps!
Our next snorkel was after leaving Key West and cruising to Newfound Harbor. It was so calm out that day. A Lake Atlantic Day! As I sit in Newfound Harbor in 30+ mph winds, a Lake Atlantic Day would be nice.
We saw a large green sea turtle off our starboard beam, gone in a flash - our first turtle we’ve seen this season so an awesome treat! It was so calm that we decided to stop with our big boats and grab mooring balls at Looe Key Reef. The conditions were calm and winds were light except for a bit of swell rolling through. It was decent snorkeling with tons of fish but, again, not great visibility. I guess that why we were told that winter is not dive season, summer is clear, calm and hot as hell.
Remember Eddie’s leg cramps? Well, in Key West he bought new short fins and was able to snorkel for 45 minutes before any cramps struck. He seems to have a good feel for when he needs to get back to the boat. I was able to stay in the water for another 20 or so mins until I was cold and the swell was making me feel icky.
After that snorkel we had about an hour cruise into the anchorage. As neither boat caught any fish for dinner I took steaks out of the freezer and Deb & Keith came over for dinner and tons of laughs. Prob the best was Deb’s imitation of Katherine Hepburn. Laughed so hard I cried.
We figured we’d get one more snorkel in before the winds came. The next morning we took the little boats to a reef just outside of the anchorage. There were so many tiny box jellies that it felt like we were swimming in jello. Fortunately, they don't sting!


















Wow, such free, fun-loving, good times!! Livin da dream!
ReplyDelete